ក្រុមអ្នកស្រាវជ្រាវបានប្រើប្រាស់ទិន្នន័យរ៉ាដាដែលមានភាពច្បាស់ខ្ពស់ដើម្បីរកឃើញជាបន្តបន្ទាប់នៃភ្នំភ្លើងក្រោមដីនៅក្នុងមហាសមុទ្រប៉ាស៊ីហ្វិក។
នៅថ្ងៃទី២០ ខែមេសា ទិន្នន័យរ៉ាដាដែលប្រើក្នុងការសិក្សាថ្មីអាចរកឃើញសញ្ញាតូចៗនៃអាងទឹកសមុទ្រពីលើភ្នំ ដែលបានប្រមូលផ្តុំដោយសារតែទំនាញភ្នំ។ កាតាឡុកថ្មីនៃភ្នំភ្លើងក្រោមទឹកនេះបានចុះផ្សាយក្នុងទស្សនាវដ្ដី Earth and Space Science ២០២៣។
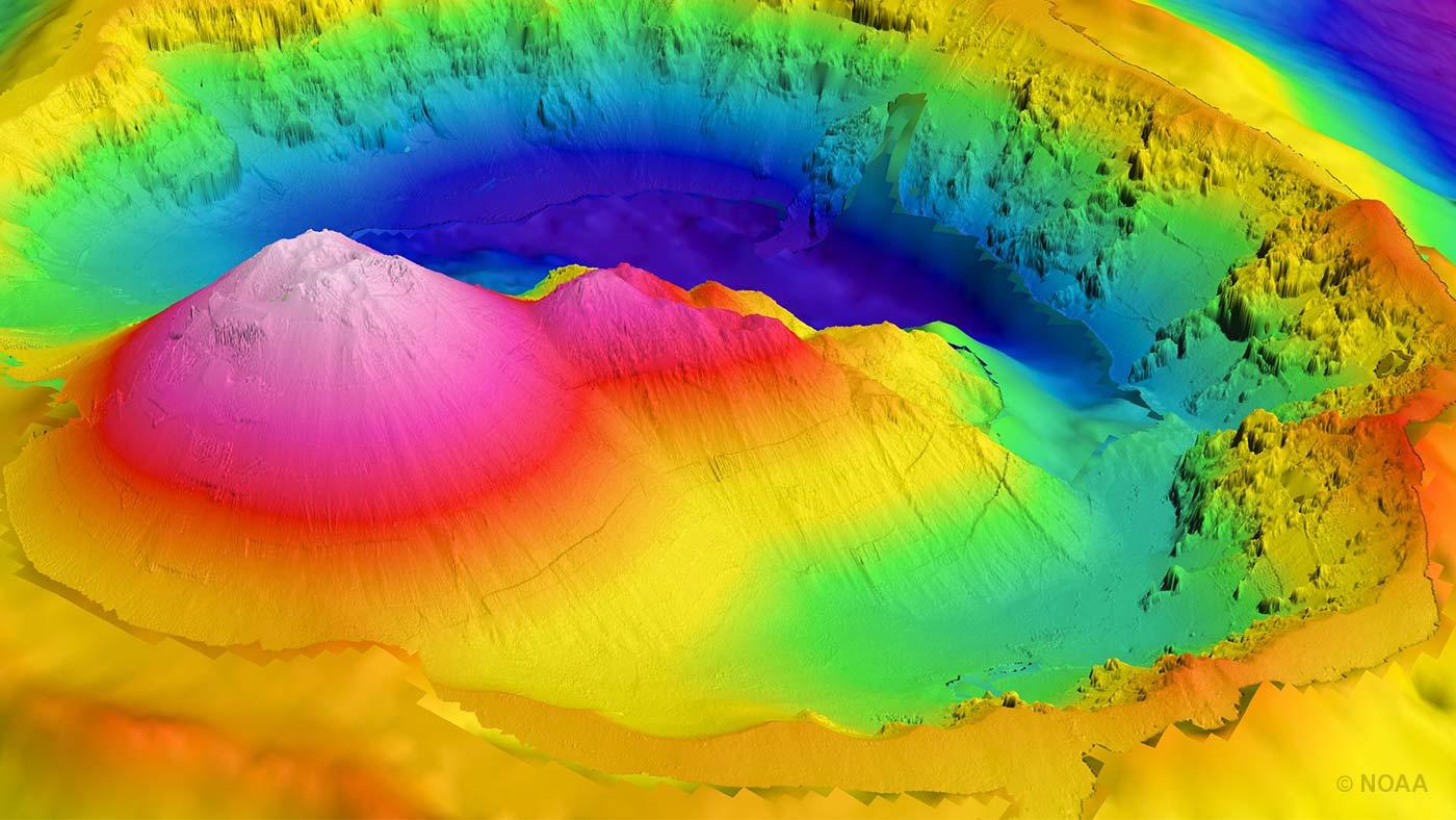
ពីមុនមានតែមួយភាគបួននៃបាតសមុទ្រប៉ុណ្ណោះដែលត្រូវបានគូសផែនទីដោយសូណា ដែលធ្វើឱ្យអ្នកវិទ្យាសាស្ត្រមិនច្បាស់ថា តើមានភ្នំភ្លើងក្រោមដីប៉ុន្មាន។ ទោះបីជាយ៉ាងណាក៏ដោយ ការសិក្សាថ្មីនេះបានប្រើប្រាស់ទិន្នន័យរ៉ាដាដែលមានភាពច្បាស់ខ្ពស់ រួមទាំងទិន្នន័យពីផ្កាយរណប CryoSat-2 របស់ទីភ្នាក់ងារអវកាសអឺរ៉ុប និងផ្កាយរណប SARAL របស់ទីភ្នាក់ងារអវកាសឥណ្ឌា និងបារាំង ដើម្បីកំណត់ទីតាំងភ្នំភ្លើងក្រោមដីដែលមានកម្ពស់ ១,១០០ ម៉ែត្រ ឬច្រើនជាងនេះ។
ភ្នំភ្លើងក្រោមដីក៏ជាអូរដ៏សំខាន់សម្រាប់ជីវិតសត្វសមុទ្រផងដែរ។ ជម្រាលដ៏ចោតរបស់ពួកគេគឺជាជម្រករបស់ផ្កាថ្ម និងសត្វជាច្រើនទៀត។ លើសពីនេះ ពួកគេក៏លាក់ព័ត៌មានអំពីបន្ទះ tectonic និងសកម្មភាព magma និងរួមចំណែកដល់ការគ្រប់គ្រងនៃចរន្តទឹកសមុទ្រដ៏ធំ ដែលស្រូបយកកំដៅ និងឧស្ម័នកាបូនិកយ៉ាងច្រើន។![]()
យោងតាមលោក Larry Mayer នាយកមជ្ឈមណ្ឌលសម្រាប់ផែនទីមហាសមុទ្រ និងឆ្នេរសមុទ្រនៅសាកលវិទ្យាល័យ New Hampshire កាតាឡុកភ្នំភ្លើងថ្មីនៃនាវាមុជទឹកគឺជាជំហានដ៏សំខាន់មួយឆ្ពោះទៅមុខ។ កាតាឡុកអាចមានប្រយោជន៍សម្រាប់ការសិក្សាអំពីបរិស្ថានវិទ្យា បច្ចេកវិជ្ជាបន្ទះ និងការលាយសមុទ្រ។ លោក John Lowell អ្នកវិទ្យាសាស្ត្រនៅទីភ្នាក់ងារស៊ើបការណ៍ភូមិសាស្ត្រជាតិអាមេរិក (NGA) បាននិយាយថា ការយល់ដឹងកាន់តែប្រសើរឡើងអំពីរូបរាងរបស់បាតសមុទ្រនឹងជួយឆ្លើយតបទៅនឹងការប្រែប្រួលអាកាសធាតុ៕ ប្រភព៖vnexpress










